输电电气设计软件
							基于BIMHome图形平台的输电线路电气设计软件,集选点选线、批量立塔、二三维联动排塔、金具批量挂接等功能于一体,实现了从底层建模、三维地理场景搭建到协同设计、智能化分析、自动计算、快速生成图纸、数字化移交全流程。
产品优势
								- 
											 内置高精度三维地理信息系统内置21级高精度地理信息数据和高程地球数据,支持倾斜摄影、正射影像等多种勘测数据三维仿真渲染,使用自主算法进行地理信息加密,确保数据安全。 
- 
											 计算设计一体化基于工程设计规范手册的标准内容及内置算法,设计人员只需在设计过程中便可完成电气及结构力学的自动计算及校验,输出计算书结果快速且准确。 
- 
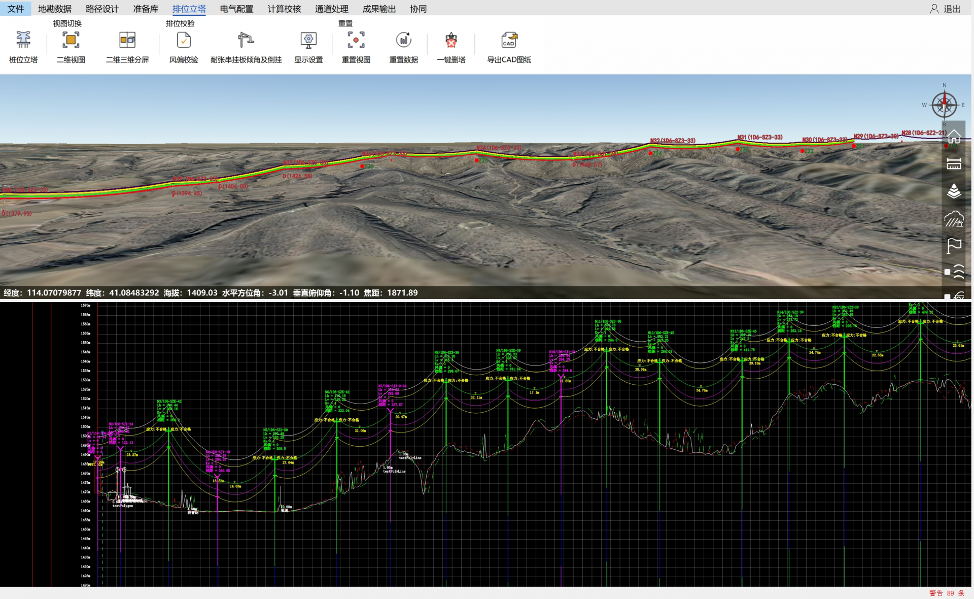
											 智能化自动设计智能辅助选线、智能排塔、自动金具挂靠、自动出图、按规则自动成果输出,多种内置算法和规则使设计过程自动化智能化。 
- 
											 二三维一体化协同设计二三维联动排塔,在二三维场景中可切换同步进行杆塔排列,在三维场景中展示立塔效果,自动生成线路平断面。 
- 
											 内置输电工程标准模型族库完全按照国家电网企管【2019】63号文发布的《输变电工程三维设计模型交互规范》等系列规范的要求而开发,可快速完成电气设备的三维建模、格式校验、GIM格式转换等国网要求移交内容。 
- 
											 设计成果快速数字化移交可导入二维设计成果,平台实现三维场景搭建,无需再在三维设计平台中设计,支持直接生成GIM格式进行数字化移交,进一步提升了项目交付的效率和标准化水平。 
产品教学
							

 
		 
		 
		 
		 产品类目
产品类目 
											
 
											
 
											
 
											
 
											
 
											
